Skip navigation & go straight to the main content.
Aberystwyth UniversityToggle menu
  • Study with us
    • Our Subjects
    • Course Search
    • Undergraduate
    • Aber Hub
    • Postgraduate
    • Open Days
    • Fees and Finance
    • Prospectus
    • Accommodation
    • Global Opportunities
    • Online & Distance Learning
    • Lifelong Learning
    • Current Students
  • International
    • How to Apply
    • Your Country
    • Scholarships
    • Your English
    • Visa Support & Advice Service
  • Research
    • Aberystwyth Research Portal
    • Research Support
    • Working with Us
  • News
    • Latest News
    • News Archive
  • Alumni
    • Alumni Services
    • Support Aber
    • Update your Details
    • Old Students' Association
  • Discover Aberystwyth
    • Aberystwyth Arts Centre
    • Conferences and Events
    • Life on Campus
    • Maps and Travel
    • Music at Aber
    • Sports Centre
  • About Us
    • Departments and Faculties
    • Coleg Cymraeg Cenedlaethol
    • Information for Staff
    • Maps & Travel
    • Jobs
    • Contact Us
Toggle Search
Close
  1. Home
  2. Department of Life Sciences
  3. Our Facilities
  4. Advanced Microscopy and Bio Imaging
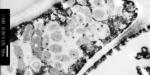
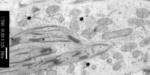
  5. A JEOL JEM1010TEM Transmission Electron Microscope

A JEOL JEM1010TEM Transmission Electron Microscope

  • About us
  • Study with us
  • Visit Us
  • Our Facilities
    • Advanced Microscopy and Bio Imaging
    • Aquarium Facility
    • Botany Gardens
    • Lluest Equine Centre
    • Movement Analysis Laboratory for Health and Performance
    • Scientific Support for Athletes
    • Physiology Laboratory for Health and Performance
    • University Farms
  • Employability
  • Global Opportunities
  • Research
  • Staff Profiles
  • News & Events
  • Blogs and Student Stories
  • Newsletters
  • Information for Current Students
  • Contact Us
  • Study with us
  • International
  • Research
  • News
  • Alumni
  • About Us
  • Information for Students
  • Information for Staff
  • Jobs
  • Departments
  • Contact

T: +44 (0)1970 622900

Aberystwyth University, Reception, Penglais, Aberystwyth, Ceredigion, SY23 3FL

Send us a message

  • Facebook
  • TikTok
  • YouTube
  • Bluesky
  • Instagram
  • Maps & Travel
Maps and travel
Good University Guide 2026 - University of the year for sustainability QAA Quality Mark thumbnail AccessAble Access Guide Disability Confident Employer
  • ^ Back to top
  • Cookie Policy
  • Site Map
  • Accessibility
  • Terms & Conditions
  • Web Site Feedback
  • Modern Slavery Statement
  • ©2025 Aberystwyth University. Registered charity: No 1145141

Staff Login?